Skip to content
Tendencias hoy
FIFA anuncia programa antidopaje
¿Sabías que existe la Asociación nacional para deportistas LGBTQ?
DiDi y CENEVAL capacitarán en inglés turístico
Medalla Bellas Artes a Alberto Dallal, estudioso de la danza en México
  • Nacional
  • Internacional
  • Política
  • CDMX
  • Cultura
  • Sociedad
  • Espectáculos
  • Deportes
  • Opinión

octubre 19, 2023

Plan estratégico dirigido por Rafael Carmona Paredes, Coordinador General de SACMEX

Plan estratégico dirigido por Rafael Carmona Paredes, Coordinador General de SACMEX

octubre 19, 2023
Leer Más»
Eliasib Polanco Saldívar: el dengue emerge como una amenaza en Morelos

Eliasib Polanco Saldívar: el dengue emerge como una amenaza en Morelos

octubre 19, 2023
Leer Más»
Bebidas de AJEMEX promueven sostenibilidad

Bebidas de AJEMEX promueven sostenibilidad

octubre 19, 2023
Leer Más»
Alexis Nickin Gaxiola: Grupo de Innovación Financiera podría generar fortalecimiento e inclusión

Alexis Nickin Gaxiola: Grupo de Innovación Financiera podría generar fortalecimiento e inclusión

octubre 19, 2023
Leer Más»
¿Quién inspiró a Eugenio Derbez a realizar la película "Radical"?

¿Quién inspiró a Eugenio Derbez a realizar la película «Radical»?

octubre 19, 2023
Leer Más»
Segundo Informe de Gobierno y Paquete Fiscal 2024 del gobierno de Evelyn Salgado Pineda

Segundo Informe y Paquete Fiscal 2024 del gobierno de Evelyn Salgado Pineda

octubre 19, 2023
Leer Más»

Mi papá peleó con puro taxista: Julio César Chávez Jr.

octubre 19, 2023
Leer Más»

Hazaña de gimnastas salir de Israel; valentía a prueba de todo

octubre 19, 2023
Leer Más»

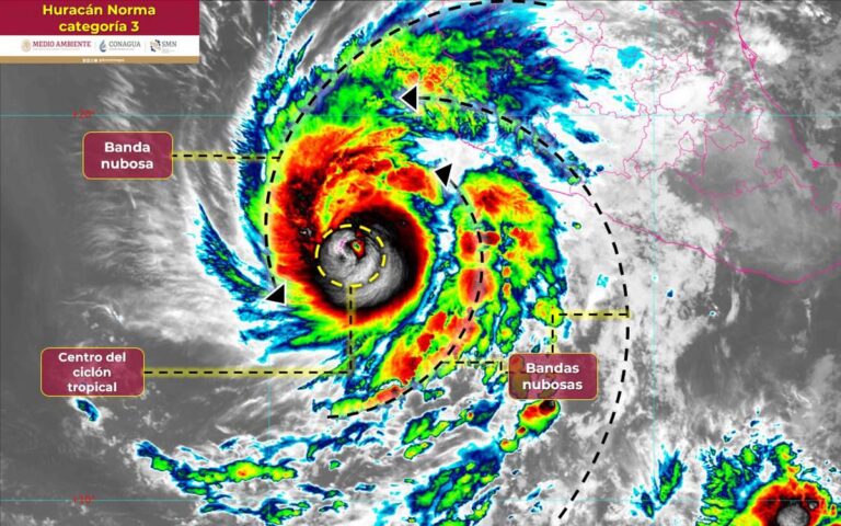
«Norma» toma fuerza y podría alcanzar categoría 4

octubre 19, 2023
Leer Más»

Ultimas Noticias

FIFA anuncia programa antidopaje

mayo 13, 2026

¿Sabías que existe la Asociación nacional para deportistas LGBTQ?

mayo 13, 2026

DiDi y CENEVAL capacitarán en inglés turístico

mayo 13, 2026

Medalla Bellas Artes a Alberto Dallal, estudioso de la danza en México

mayo 13, 2026

Nuestra Selección

Osmar Olvera enfoca su camino hacia Juegos Centroamericanos

mayo 5, 2026

Ticketmaster liberará hoy últimos boletos para conciertos de BTS en México

mayo 7, 2026
Luis Ricardo Reyes de la Campa: Crecimiento de exportaciones y entrada de remesas

Peso se debilita ante tensiones en Medio Oriente

abril 21, 2026

Extranjeros transportaban 1 tonelada de cocaína en costas de México

abril 27, 2026

Suscríbase a nuestro boletin

Escribe una breve descripción, que describirá el título o algo informativo y útil.

SUSCRIBIRSE

leer más notas

Despertar México – 2026 – Derechos Reservados ©
  • Aviso de Privacidad
  • Política de Cookies
Despertar México – 2026 – Derechos Reservados ©

Aviso de privacidad

Políticas de privacidad
Usamos cookies o tecnologías similares para almacenar, acceder y procesar datos personales como su visita en este sitio web.
Puede retirar su consentimiento en cualquier momento haciendo clic en "cancelar" o en nuestra Política de Privacidad en este sitio web.