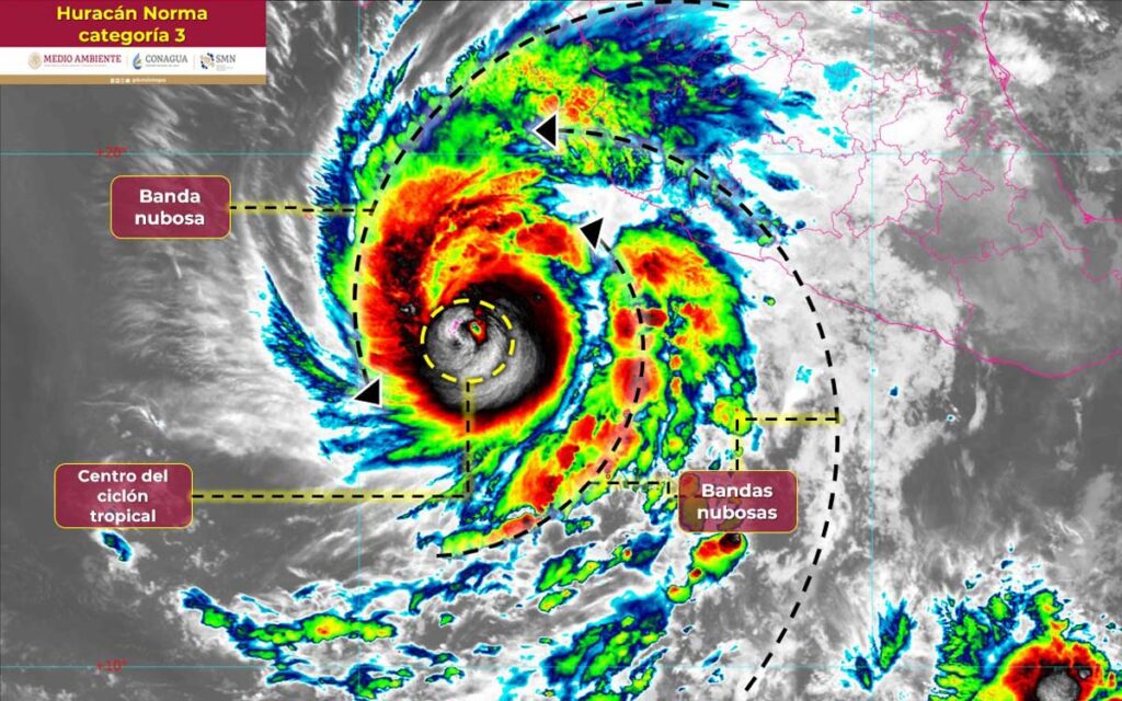
La madrugada de este 19 de octubre el huracán «Norma» tomó más fuerza y alcanzó ya la categoría 3, informó el Servicio Meteorológico Nacional, y se espera que sea esta semana cuando toque tierra en Baja California Sur.
El fenómeno podría evolucionar a huracán categoría 4 al mediodía de este mismo jueves, frente a las costas del Pacífico mexicano.
El SMN indicó que el meteoro tocará tierra en México en Baja California Sur el domingo 22 de octubre. Tras su paso por este estado, se dirigirá hacia Sinaloa como tormenta tropical el próximo martes 24 de octubre.
Norma provocará lluvias puntuales intensas en Jalisco, Colima, así como lluvias muy fuertes en Nayarit, Michoacán y Guerrero.
A ello se suma que se aproxima a la frontera norte de México un frente frío, reforzando las rachas fuertes de viento en dicha región.
El SMN añadió que el huracán de categoría 3 incrementará la probabilidad de que hayan chubascos en Baja California y Sinaloa.
La dependencia advirtió a pobladores de Colima, Jalisco y Michoacán por la probable presencia de olas de hasta 5 metros de altura en sus costas, así como estar atentos a la formación de trombas marinas. acompañadas de rachas de viento de hasta 110 kilómetros por hora.
Se advierte también por olas de hasta 3 metros en Baja California Sur, Nayarit y Guerrero. A ello se suma que se aproxima a la frontera norte de México un frente frío, reforzando las rachas fuertes de viento en dicha región.







