Cómo reaccionar ante un huracán como Beryl

Facebook
Twitter
Pinterest
Cómo reaccionar ante un huracán como Beryl

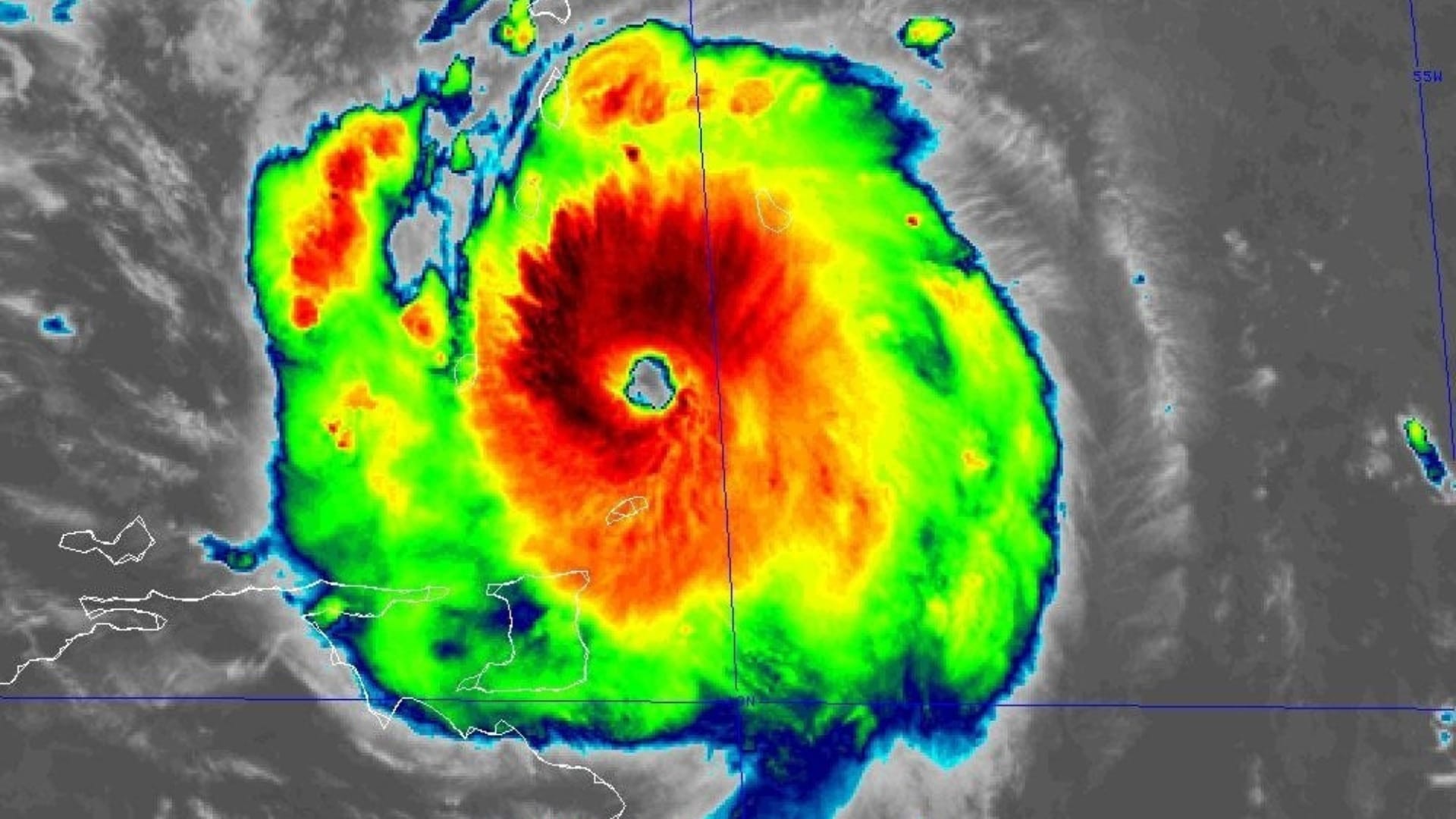
El huracán Beryl se aproxima a México, siendo el más fuerte reportado en lo que va de la temporada, y se espera que impacte en los próximos días la costa de Quintana Roo, por lo que las autoridades se han coordinado para prevenir a la población, evitar fallecimientos así como daños mayores por posibles inundaciones.

Mara Lezama, gobernadora de Quintana Roo, así como la Coordinación Nacional de Protección Civil, informaron este martes 2 de julio que mantienen una serie de alertamientos a la población según el nivel de riesgo al que se enfrentan con el paso del huracán en los próximos días.

Por el momento, la alerta es color Azul, lo que significa que el peligro es mínimo; sin embargo, es posible que en las próximas horas este suba ante la llegada del huracán Beryl y sus bandas nubosas.

Actualmente Beryl es un huracán categoría 4, y se espera que se degrade mientras pasa por islas del Mar Caribe. Con ello, se prevé que impactará las costas del sureste de Quintana Roo entre la noche del jueves 4 y las primeras horas del viernes 5 de julio, de acuerdo con el Servicio Meteorológico de la Comisión Nacional del Agua (Conagua).

Qué debes hacer según el nivel de alerta

México está en alerta con el paso del huracán Beryl, al grado de que la Secretaría de la Defensa Nacional (Sedena) activó el plan DN-III para la protección de las personas ante emergencias, además de que la Comisión Federal de Electricidad (CFE) informó que ya tiene equipos especiales para atender los cortes eléctricos.

La Coordinación Nacional de Protección Civil estableció los niveles de alertamiento y las medidas que se deben tomar mientras se acerca el huracán Beryl, no solo a Quintana Roo, donde pegará en un inicio, sino también en Veracruz y Tamaulipas, donde se espera que impacte en una segunda instancia.

Alerta Azul

En este momento se detecta la presencia de un ciclón tropical dirigido a las costas del país.
Se pide estar alerta e informarse sobre cómo se desarrollará su posible impacto, así como las zonas con riesgo de lluvias e inundación en caso de huracanes como Beryl.

Alerta Verde

Esta alerta significa peligro bajo.
Se pide que poden árboles que pudieran representar peligro para la población y para el sistema eléctrico.
Es importante la limpieza de azoteas, coladeras, desagües y canales para permitir el paso del agua.
Proteger vidrios con cinta, así como objetos que puedan caerse.

Tener cuidado

Alerta Amarilla

Significa peligro moderado.
Es necesario ubicar un refugio temporal cercano, así como una ruta para llegar lo antes posible en caso de que sea necesario.
Guardar documentos importantes en bolsas de plástico.
Almacenar alimentos y agua potable, así como tener a la mano artículos de emergencia y energía, como son lámparas.

Alerta Naranja

Este nivel significa peligro alto.
Es necesaria la vigilancia de los niveles de agua e inundaciones por las lluvias, sobre todo si vives cerca de un río o laguna, además de que es necesario el cierre de puertas y ventanas.
Se debe cortar el suministro de luz y de gas.
Debes evacuar donde vives si la zona se considera de peligro y acudir a alguno de los refugios más cercanos.

Alerta Roja

Esta es la alerta máxima de peligro.
Debes alejarte de ventanas para evitar lesiones en caso de que se rompan.
Conserva la calma y mantente informado de lo que digan las autoridades.
Permanece en tu casa o en el refugio hasta que las autoridades indiquen que el riesgo por huracán se ha reducido.

Deja una respuesta

Tu dirección de correo electrónico no será publicada. Los campos obligatorios están marcados con *

Noticias Relacionadas