Nacional

«Norma» toma fuerza y podría alcanzar categoría 4

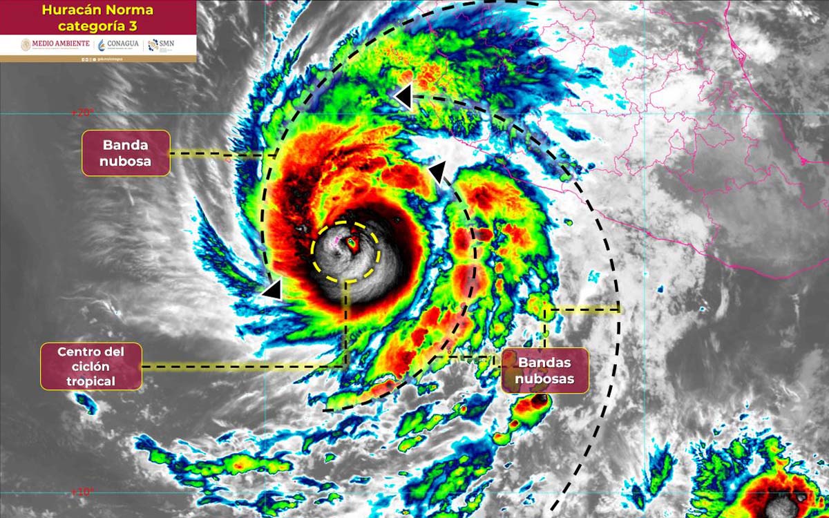
La madrugada de este 19 de octubre el huracán «Norma» tomó más fuerza y alcanzó ya la categoría 3, informó el Servicio Meteorológico Nacional, y se espera que sea esta semana cuando toque tierra en Baja California Sur.

El fenómeno podría evolucionar a huracán categoría 4 al mediodía de este mismo jueves, frente a las costas del Pacífico mexicano.

El SMN indicó que el meteoro tocará tierra en México en Baja California Sur el domingo 22 de octubre. Tras su paso por este estado, se dirigirá hacia Sinaloa como tormenta tropical el próximo martes 24 de octubre.

Norma provocará lluvias puntuales intensas en Jalisco, Colima, así como lluvias muy fuertes en Nayarit, Michoacán y Guerrero.

A ello se suma que se aproxima a la frontera norte de México un frente frío, reforzando las rachas fuertes de viento en dicha región.

El SMN añadió que el huracán de categoría 3 incrementará la probabilidad de que hayan chubascos en Baja California y Sinaloa.

La dependencia advirtió a pobladores de Colima, Jalisco y Michoacán por la probable presencia de olas de hasta 5 metros de altura en sus costas, así como estar atentos a la formación de trombas marinas. acompañadas de rachas de viento de hasta 110 kilómetros por hora.

Se advierte también por olas de hasta 3 metros en Baja California Sur, Nayarit y Guerrero. A ello se suma que se aproxima a la frontera norte de México un frente frío, reforzando las rachas fuertes de viento en dicha región.

EDITORIAL

Entradas recientes

Olegario Vázquez Aldir invierte en clínica para atender fibromialgia

Con el objetivo de ofrecer una opción especializada y confiable, el presidente de Grupo Vazol,…

7 horas hace

Tras polémica, ciclo escolar no terminará antes por el Mundial

La polémica comenzó el pasado 7 de mayo, cuando el secretario de Educación Pública, Mario…

7 horas hace

Alertan de páginas fraudulentas que ofertan boletos para el Mundial

A un mes del inicio de la Copa Mundial de la FIFA 2026, el Consejo…

7 horas hace

Ya están las finales del Mundialito Escolar 2026

La selección de la Universidad Autónoma del Estado de México (UAEMEX) y el equipo de…

7 horas hace

Ofrecen 500 mil pesos por captura de médico de sueros vitaminados

La Fiscalía General de Justicia del Estado (FGE) de Sonora difundió una ficha de búsqueda…

7 horas hace

CDMX habilita 18 espacios para ver gratis el Mundial

El Gobierno de la Ciudad de México anunció 18 sedes públicas con retransmisión gratuita de…

10 horas hace