Categories: Lo BuenoViral

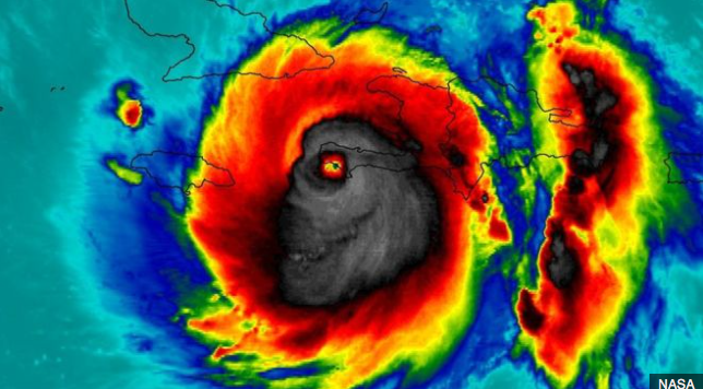
El «rostro» del huracán Matthew

Ciudad de México, 5 Oct.- El poderoso huracán Matthew que ya ha sido catalogado como el más poderoso del Atlántico en casi una década, ha sorprendido no solo por su intensidad, sino por su peculiar aspecto desde el espacio.

Esta enorme tormenta que ha dejado daños materiales, inundaciones, lluvias torrenciales y un saldo de al menos nueve personas fallecidas, ha impacto en Florida, Haití, República Dominicana y Cuba.

Sin perder de vista los estragos que ha provocado Matthew, en redes sociales se ha desatado el «pánico» por una imagen difundida por la Agencia Espacial de EE.UU (NASA, por sus siglas en inglés), donde se aprecia lo que parece ser un rostro con forma de calavera.

La fotografía que probablemente se convierta en una de las más emblemáticas del 2016, ha sido calificada como «terrorífica», se observa el ojo del huracán y nubes que dan forma al rostro aterrador.

Incluso en redes sociales como Twitter, han comenzado a asociar la imagen a uno de los personajes más emblemáticos de Marvel, «El vengador fantasma».

¿Qué les parece?

ReporteDMX

Entradas recientes

UNAM, Banco Azteca y Santiago Arau revelan la memoria geográfica de la CDMX con la exposición «Patrimonio: Agua y Fuego» en el MUCA

La Ciudad de México, esa metrópoli de asfalto interminable y ritmo frenético, oculta bajo su…

16 horas hace

Eduardo Ortegón Williamson subraya impacto del programa “AyD Trabaja en tu Colonia” en Guadalupe

Las labores de mantenimiento sanitario continúan avanzando en distintos sectores de Guadalupe como parte del…

18 horas hace

Lanzan operativo Tlaloque ante las lluvias

El Gobierno de la Ciudad de México desplegó el Operativo Tlaloque ante las lluvias registradas…

21 horas hace

Lanzan tecnología para detectar baches en ciudades de EU

Los baches podrían dejar de ser un reto para los automovilistas en algunas ciudades estadunidenses,…

21 horas hace

Mundial podría generar gasto adicional de 8,700 mdd

La celebración de la Copa Mundial de Futbol 2026 en México podría convertirse en un…

22 horas hace

FIFA anuncia programa antidopaje

La FIFA anunció que el Mundial 2026 tendrá uno de los programas antidopaje más completos…

2 días hace